Matérias | Geral


🌇 PÔR DO SOL

Primeira corrida dentro de um bairro planejado de Santa Catarina promete experiência inesquecível

A Colinas Run acontece em novembro no Colinas de Camboriú, com percursos de 5 e 10 km e largada ao pôr do sol

Um novo cenário para correr e celebrar a vida ao ar livre. No dia 8 de novembro, o Colinas de Camboriú será palco da Colinas Run, a primeira corrida oficial dentro de um bairro planejado em Santa Catarina. Mais do que uma prova, o evento promete uma experiência completa. Com o tema “Follow the Sunset ...


ITAJAÍ

Hidrante em frente ao fórum vira chafariz; veja o vídeo

Semasa teve que abrir equipamento para fazer o conserto de rede

Quem passou pela rua Uruguai, no centro de Itajaí, por volta das 15h45, só não tomou banho no chafariz que se formou no local porque a quarta-feira está mais pra inverno do que pra verão. A água jorrou com força do hidrante em frente ao fórum itajaiense. Vídeos enviados por leitores mostram motociclistas ...


ITAJAÍ

Criança com autismo foge de escola particular e mãe acusa negligência

Menino de nove anos saiu sozinho do Anglo; colégio só percebeu ausência quando mãe já tinha sido avisada

O que era para ser mais um dia normal de aula virou desespero para uma mãe de Itajaí. O filho dela, de nove anos e com TEA (Transtorno do Espectro Autista) nível 2 de suporte, saiu sozinho da escola particular onde estuda sem que ninguém percebesse. O caso foi revelado pela Band Itajaí. A mulher acusa ...


SAÚDE

Últimos dias para atualizar a caderneta de vacinação em SC

Campanha estadual já aplicou mais de 190 mil doses em crianças e adolescentes

  A campanha de atualização da caderneta de vacinação de crianças e adolescentes menores de 15 anos entra na reta final em Santa Catarina. Até o momento, foram 191.584 doses aplicadas, segundo a Secretaria de Estado da Saúde (SES). A ação em parceria com os municípios busca ampliar a cobertura vacinal ...


Continua depois da publicidade

ECONOMIA

Sardinha enlatada será item da cesta básica

Avanço da proposta no Congresso é comemorado pelo setor pesqueiro

Um dos principais produtos da indústria pesqueira de Itajaí e Navegantes, a sardinha em lata pode entrar na lista de itens da cesta básica com imposto zero. A proposta em andamento no Congresso Nacional avançou com aprovação na comissão de saúde da Câmara dos Deputados. A próxima análise será pela comissão ...


Bombeiros

Incêndio atinge casa no centro de Penha durante a madrugada

Fogo começou perto da porta de entrada e destruiu móveis e eletrodomésticos

Um incêndio em uma casa assustou moradores da rua Elói Adriano, no centro de Penha, por volta das 2h da madrugada desta quarta-feira. O fogo começou em uma das quitinetes do imóvel e, segundo o Corpo de Bombeiros Militar, as chamas estavam em fase de crescimento quando as equipes chegaram ao local. ...


ITAJAÍ

Cai o secretário de Comunicação

Prefeitura confirma saída de Calebe Moreno

A prefeitura de Itajaí confirmou, por meio da assessoria de imprensa, que o secretário de Comunicação, Calebe Moreno, está de saída. Ele segue no posto até sexta-feira, quando deixa o governo Robison Coelho (PL), 10 meses após ter assumido a função. O Secretário de Comunicação pediu oficialmente exoneração ...


🎬 STREAMINGS

Novembro de estreias: prepare o sofá e a pipoca!

De “Stranger Things 5” a “Uma Sexta-Feira Mais Louca Ainda”, plataformas trazem maratonas imperdíveis

O mês de novembro promete tirar o fôlego dos assinantes de streaming. Entre o retorno de clássicos, grandes estreias e produções aguardadas, há novidades para todos os estilos, da nostalgia aos super-heróis, do drama ao suspense. 🎁 Disney+ 05/11 - Quarteto Fantástico: Primeiros Passos  12/11 - ...


Continua depois da publicidade

ESPECIAL DIA DE FINADOS

Vaticano faz encontro de acolhimento e homenagens em memória aos que partiram

Evento acontece neste domingo nas unidades de Itajaí e Balneário Camboriú

Neste domingo, 2 de novembro, o Vaticano Itajaí e demais unidades do grupo em Curitiba, Almirante Tamandaré, São José, Balneário Camboriú e Florianópolis realizam um encontro especial em homenagem ao Dia de Finados. O evento, preparado com carinho, convida familiares e amigos a transformar a saudade ...


BALNEÁRIO CAMBORIÚ

Batida entre caminhonete e carro deixa motorista ferido em Balneário Camboriú

Motociclista também sofreu múltiplas fraturas após batida na avenida do Estado Dalmo Vieira

Uma colisão entre uma caminhonete Amarok e um BYD Dolphin deixou um homem ferido na noite de terça-feira, às 21h40, na avenida Martin Luther, esquina com a rua Bulgária, em Balneário Camboriú. A traseira do carro foi atingida com força, e o motorista precisou ser socorrido pelo Samu. Ele foi encaminhado ...


TRAGÉDIA

Motociclista morre atropelado por caminhão na Osvaldo Reis

Vítima chegou a ser socorrida e foi levada em estado grave ao hospital Marieta

A segunda-feira foi marcada por mais uma tragédia em Itajaí. Um motociclista morreu ao ser atropelado por um caminhão na avenida Osvaldo Reis, no sentido Balneário Camboriú. O acidente aconteceu às 8h55. O Corpo de Bombeiros Militar foi acionado para socorrer a vítima. No local, o motociclista foi ...


BALNEÁRIO CAMBORIÚ

Conferência do Plano Diretor será nesta quinta; envio de sugestões já encerrou

Prefeitura intensificou o recolhimento de sugestões nos últimos dias

A conferência do Plano Diretor de Balneário Camboriú acontece na quinta, dois dias após o encerramento do prazo pro envio de sugestões da comunidade sobre a revisão do plano. A consulta pública estava aberta desde 17 de outubro, com a minuta prévia disponível pra análise e contribuições. Nos últimos ...


RECONHECIMENTO

Profissional de Nova Trento recebe prêmio nacional de turismo religioso

Entrega do Troféu São João Paulo II será em Trindade (GO) no final de novembro

O catarinense Eluísio Antonio Voltolini, de 63 anos, referência nacional no turismo religioso, será homenageado com o Troféu São João Paulo II, concedido pelo Fórum Nacional de Turismo Religioso. A premiação reconhece sua dedicação e contribuição para o fortalecimento do segmento no país. A entrega ...


Continua depois da publicidade

ESPETÁCULO

Floração dos garapuvus dá show nas morrarias

Espécie nativa da Mata Atlântica tem flores de amarelo intenso

A floração dos garapuvus promove um espetáculo amarelo nas morrarias da região. Nesta época, as árvores se destacam na paisagem com a explosão de suas flores de cor intensa. O show pode ser visto nos morros de Cabeçudas, Praia Brava, Fazenda, Ressacada e no interior de Itajaí, entre outras matas e encostas ...


PENHA

Mãe do menino Vitor emociona com vídeo no túmulo do estudante

Raquel Nunes gravou mensagem direcionada aos pais enquanto limpava o jazigo do menino, falecido aos nove anos

Raquel Nunes, a mãe do pequeno menino Vitor Luiz de Melo, falecido aos nove anos em maio deste ano, voltou a emocionar a todos. Ela, que já havia dado uma demonstração de força no momento do falecimento do pequeno ao se deparar com notícias falsas de uma suposta morte por reação à vacina da covid-19 ...


LUTO

Morre Márcia Teixeira que tratava câncer raro no intestino

Márcia, esposa do músico Ubiratan Matos, faleceu nesta terça aos 32 anos

Faleceu na terça, no hospital da Unimed, em Balneário Camboriú, Márcia Teixeira Jacintho, de 32 anos. Ela enfrentava um câncer raro no intestino, descoberto em junho de 2023. Márcia era esposa do músico Ubiratan Matos Tives, o Bira, e mãe de Emanuel, de 12 anos. A família chegou a organizar ações solidárias ...


CIDADE NOVA

Moradora de Itajaí perde carro em incêndio provocado por morador de rua

Andreia tinha investido R$ 12 mil para consertar o carro, mas teve o veículo incendiado enquanto voltava de viagem

A itajaiense Andreia dos Santos vive um momento de grande dificuldade após ter o carro incendiado na madrugada de 26 de outubro. O fogo teria sido provocado por um morador de rua, que, segundo vizinhos, já vinha incomodando na região. Andreia conta que voltava de viagem quando recebeu a notícia de ...


CONTORNO VIÁRIO

Balneário Camboriú fará estudos pra construção da avenida Cristo Luz

Projeto quer ligação da avenida Palestina com a BR 101

Projeto pensado há mais de 10 anos em Balneário Camboriú, a ligação da avenida Palestina com a BR 101 terá estudos técnicos em 12 meses. O edital pra contratação da empresa responsável pelos levantamentos, aberto em setembro, vai escolher a melhor proposta na quinta-feira. A partir da ordem de serviço ...


Continua depois da publicidade

CUIDAR DE VOCE

Unimed tem programa para rastrear câncer de forma precoce

Programa já detectou 14 casos de câncer de mama desde 2024

O programa "Cuidar de você", criado pela Unimed Litoral pra rastrear e acompanhar casos de câncer, já identificou 14 diagnósticos de câncer de mama desde 2024, a maioria em estágio inicial, o que permite tratamento com menos impacto na qualidade de vida. Além de rastrear, o programa faz o acompanhamento ...


🍿 PARTIU CINEMA!

Arcoplex Itajaí tem quarta com meia-entrada e estreias para todos os gostos

Entre as novidades da semana está “Mauricio de Sousa – O Filme”, que leva às telonas a história do pai da Turma da Mônica

Se tem um lugar onde a quarta-feira é dia oficial de diversão, é o cinema. E o Arcoplex Itajaí preparou um motivo a mais para sair de casa: a “Quarta Promocional” garante ingressos pela metade do preço para todas as sessões, sem necessidade de carteirinha, cadastro ou comprovação. A nova programação ...


PARTIU ESTUDAR?

TikTok vai promover aulões gratuitos do Enem neste fim de semana

Plataforma ainda distribuirá 20 mil bolsas de estudo para revisão online

O TikTok vai transformar os cinemas em salas de aula nos dias 1º e 2 de novembro, das 10h30 às 12h30, com os “Aulões do TikTok”, aulas intensivas e gratuitas voltadas à preparação para o Enem 2025. A iniciativa vai acontecer em 48 salas de cinema de 32 cidades brasileiras, reunindo oito professores ...


SAÚDE

Moradora denuncia UPA de Itajaí após esperar com embolia

Paciente foi ao local com falta de ar e dor no peito, mas só foi atendida horas depois, com diagnóstico grave

A dona Maah Bernardino, de 33 anos, denunciou ao DIARINHO um caso de suposta negligência na Unidade de Pronto Atendimento do Centro Integrado de Saúde (CIS) do bairro São Vicente, em Itajaí. Segundo ela, o episódio aconteceu neste domingo, por volta das 18h45, quando procurou ajuda com fortes dores ...


Região

Porto Belo terá hospital particular com R$ 200 milhões em investimentos

Empreendimento será o maior complexo hospitalar da Costa Esmeralda

Porto Belo vai ganhar seu primeiro hospital, em projeto da iniciativa privada com investimento de R$ 200 milhões. O projeto foi lançado na semana passada e prevê o maior complexo hospitalar da região da Costa Esmeralda, em conceito que une serviços de saúde e área comercial com lojas, gastronomia e ...


Continua depois da publicidade

TRANSFORME BOLETO EM BURGER

Burger King e Serasa lançam ação diferentona saborosa

No Halloween, você troca boleto por um Cheddar Duplo grátis — e batata se tiver o app da Serasa

Neste Halloween, o Burger King e Serasa decidiram transformar a tradição de pagar boletos em algo delicioso: no dia 31 de outubro, das 0h01 às 23h59, quem for a um BK Drive-thru participante e mostrar qualquer boleto (pago ou não) leva um Cheddar Duplo totalmente grátis (limite de 1 por CPF e por carro ...


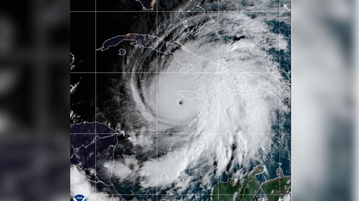
Urgente

Furacão Melissa se torna o mais forte do ano e ameaça Caribe

Fenômeno atinge ventos de 280 km/h e já deixou sete mortos em países da região

O furacão Melissa alcançou a categoria 5 na escala Saffir-Simpson e é considerado o mais forte do ano, segundo o Centro Nacional de Furacões dos Estados Unidos. De acordo com a BBC News, o fenômeno apresenta ventos superiores a 280 km/h e avança lentamente sobre o Caribe, gerando preocupação por seu ...


CONSULTA PÚBLICA

BC tem último dia pra envio de sugestões do plano diretor

Próximo passo é a conferência municipal, na quinta-feira

Encerra nesta terça-feira o prazo para o envio de sugestões referentes à revisão do Plano Diretor de Balneário Camboriú. A consulta pública está aberta desde 17 de outubro, com a minuta prévia do plano disponível para análise e contribuições da comunidade. Para ampliar e incentivar a participação dos ...


ATRAÇÃO INÉDITA!

Pomerode ganha “mundo em miniatura” em casarão histórico

Nova atração da Alles Park promete encantar com trens, vilas iluminadas e um toque da magia natalina

Imagine entrar num casarão de 1908, pisar em trilhos de trem em miniatura, atravessar vilas iluminadas, ver cabanas de neve com teleférico e ainda descobrir que tudo cabe sob um teto… Pomerode vai ganhar um novo motivo para encantar turistas e moradores: a “Estação Alles Park – Mundo em Miniatura”, ...


Tristeza

Filha se despede da mãe que morreu em acidente na BR 101

Lisiane Pacheco foi atropelada por um caminhão em cima da ponte de Navegantes

Daniela Pacheco, de 16 anos, usou as redes sociais para se despedir da mãe, Lisiane Pacheco, de 44 anos, que morreu atropelada por um caminhão em cima da ponte da BR 101, que liga Itajaí a Navegantes, por volta das 17h30 de segunda-feira. “Sempre achamos que vamos ter mais tempo, aí o tempo acaba. ...


Continua depois da publicidade

CULTURA

Itajaí recebe espetáculo infantil gratuito sobre questões raciais

Peça será apresentada na casa da cultura e no Teatro Municipal

O espetáculo infantil “Cor de quê?” terá apresentações gratuitas em Itajaí, com sessões na casa da cultura e no teatro. A peça discute questões raciais com linguagem voltada para crianças e faz parte do projeto “Circulação Cor de quê: Crianças no teatro”. Na casa da cultura Dide Brandão, as apresentações ...


ABASTECIMENTO

Limpeza na adutora Arapongas pode afetar abastecimento de quatro bairros em Itajaí

Limpeza será na quarta-feira, às 5h, e deve ser concluída ao meio-dia

Os preparativos para o verão 2025/2026 em Itajaí vão impactar no abastecimento da cidade nesta quarta-feira. A Estação de Tratamento de Água Arapongas vai passar por limpeza profunda.  A segunda maior adutora de Itajaí, com cinco quilômetros de comprimento, vai receber o procedimento a partir das 5h ...


SE LIGA!

Obras interditam a BR 101 nesta madrugada

Trecho entre Barra Velha e Balneário Piçarras vai receber reparos no asfalto

A BR 101 terá dois pontos de bloqueio na noite desta segunda-feira na região. Obras de reparo no asfalto interditam parcialmente faixas no sentido Floripa a partir das 22h. O primeiro trecho interditado fica em Barra Velha. A faixa da direita ficará temporariamente bloqueada do km 80 ao 89.  Por conta ...


PENHA

Mãe e filha são atropeladas por caminhão na BR 101

Mãe morreu no local e filha, de 17 anos, foi ao hospital

Um grave acidente matou uma mulher na BR 101, por volta das 18h de segunda-feira, e também deixou a filha dela ferida. As duas estavam na moto Biz quando foram atropeladas por um caminhão em cima da ponte sobre o rio Itajaí-açu, entre as cidades de Itajaí e Navegantes, no sentido Joinville. Segundo ...


BALNEÁRIO

Avenida Panorâmica já está com o trânsito liberado

Derramamento de óleo fechou via por três horas na segunda-feira

A avenida Panorâmica ficou fechada por cerca de três horas na tarde desta segunda-feira, em Balneário Camboriú, após a batida de um carro contra o muro de contenção da via. O acidente causou derramamento de óleo na pista. Os agentes de trânsito registraram a ocorrência por volta das 13h. De acordo ...


TECNOLOGIA

Univali abre espaço em parceria com o Google voltado à inovação e criatividade

Centro de Aprendizagem será inaugurado nesta quinta no campus de Itajaí

A Univali inaugura na quinta-feira o Centro de Aprendizagem Google, espaço voltado à inovação digital e às novas formas de ensino. A cerimônia será às 9h, no bloco B3 do campus Professor Edison Villela, em Itajaí. O ambiente tem 150 m² e foi criado para incentivar aprendizagem ativa, criatividade e ...


TRISTEZA

Motociclista morre atropelada por caminhão na BR 101

Acidente foi em cima da ponte entre Itajaí e Navegantes e deixa mais de 24 km de filas

Uma motociclista morreu atropelada na BR 101, em cima da ponte sobre o rio Itajaí-açu, entre os municípios de Itajaí e Navegantes . O acidente aconteceu por volta das 18h desta segunda-feira, no sentido Joinville. Segundo relatos de motoristas que passaram pelo local, a vítima estava em uma motocicleta ...


É NESTA QUARTA

Com cabine premiada e distribuição de brindes, Fort inaugura loja no Dom Bosco

Loja tem mais de nove mil produtos, 3900 m², Açougue Carne Fresca e restaurante Trudy’s

Itajaí ganha nesta quarta-feira a quinta loja do Fort Atacadista. Fica na rua José Darcy da Silva, no bairro Dom Bosco, e a inauguração será a partir das 7h com atividades especiais, distribuição de brindes e degustações gratuitas de diversos parceiros. Uma das atrações será a Cabine Premiada, ação ...


AO VIVO

Anacleto, do esporte amador, estará no “Diz aí!” desta quarta

Com 79 anos, ele é referência no futebol amador de Itajaí

João Carlos Anacleto, de 79 anos, é um verdadeiro guardião da história do futebol amador de Itajaí. Nesta quarta, ele será o entrevistado do programa “Diz aí!”, a partir das 13h, para contar um pouco da sua trajetória ligada à comunicação esportiva. A entrevista é transmitida ao vivo no canal do Youtube ...


TRICK OR TREAT?

Educação de Itajaí recomenda não comemorar Halloween nas escolas

Orientação foi em comunicado aos professores da rede municipal

As celebrações da festa de Halloween, conhecida como "Dia das bruxas" no Brasil, não são bem-vindas nas escolas da rede municipal de Itajaí. Às vésperas da tradicional data, celebrada na próxima sexta-feira, a Secretaria Municipal de Educação mandou orientação aos professores pra que o tema “halloween ...


BALNEÁRIO

Derramamento de óleo fecha avenida Panorâmica

Via só será liberada após conclusão da limpeza da pista

A avenida Panorâmica ficou fechada por cerca de três horas na tarde de segunda, em Balneário Camboriú, após a batida de um carro contra o muro de contenção da via. O acidente causou derramamento de óleo na pista. Os agentes de trânsito registraram a batida por volta das 13h. De acordo com a autarquia ...


REGIÃO

Itajaí participa de debate sobre o tráfego rodoviário em Brasília

Audiência pública discute gargalos entre Itajaí e Navegantes

Representantes do setor produtivo de Itajaí participam às 10h desta terça de uma audiência pública na Câmara dos Deputados, em Brasília. O encontro, promovido pela Comissão de Viação e Transportes, vai debater a situação do tráfego de veículos entre Itajaí e Navegantes, corredor estratégico para o escoamento ...




TV DIARINHO


🚨🌿 OPERAÇÃO EM ITAPEMA | A Polícia Federal cumpriu mandados em Itapema e outras cidades de Santa Catarina ...



Especiais

Vítimas esperam indenizações enquanto sócios vivem em imóvel de R$5 milhões

Caso Backer

Vítimas esperam indenizações enquanto sócios vivem em imóvel de R$5 milhões

EUA gastaram milhões para cooptar PF há 20 anos; processo não foi julgado

POLÍCIA FEDERAL

EUA gastaram milhões para cooptar PF há 20 anos; processo não foi julgado

Após avanço no STF sobre reajuste, idosos podem ter derrota para planos de saúde na Câmara

SAÚDE

Após avanço no STF sobre reajuste, idosos podem ter derrota para planos de saúde na Câmara

Vítimas de nudes com IA sofrem em limbo digital enquanto sites lucram: “Me senti abusada”

PERIGO DA IA

Vítimas de nudes com IA sofrem em limbo digital enquanto sites lucram: “Me senti abusada”

Cidades mineiras se preparam para exploração de enorme jazida de terras raras

EXPLORAÇÃO

Cidades mineiras se preparam para exploração de enorme jazida de terras raras



Blogs

Novembro terá finais de campeonatos entre advogados em estádios oficiais

A bordo do esporte

Novembro terá finais de campeonatos entre advogados em estádios oficiais

Antes tarde do que nunca

Blog da Jackie

Antes tarde do que nunca

Para não dizer que não falei de flores

Blog do Magru

Para não dizer que não falei de flores

Presidente da casa do povo de Blumenau, denúncia uso irregular de carangas da prefa

Blog do JC

Presidente da casa do povo de Blumenau, denúncia uso irregular de carangas da prefa



Diz aí

"Tem que entregar. Ninguém está garantido nesse governo. Nem nós."

Diz aí, Rubens!

"Tem que entregar. Ninguém está garantido nesse governo. Nem nós."

“Acho que a atividade-fim tem que se manter 100% pública, que é a educação”

Diz aí, Níkolas!

“Acho que a atividade-fim tem que se manter 100% pública, que é a educação”

"Nosso projeto é de clube formador, de dar oportunidades aos jovens talentos"

Diz aí, Bene!

"Nosso projeto é de clube formador, de dar oportunidades aos jovens talentos"

“O gargalo que a gente enfrenta é a mão de obra e a qualificação da mão de obra”

Diz aí, Thaisa!

“O gargalo que a gente enfrenta é a mão de obra e a qualificação da mão de obra”

"Comprem em Camboriú porque vai valorizar. Camboriú é a bola da vez"

Diz aí, Pavan!

"Comprem em Camboriú porque vai valorizar. Camboriú é a bola da vez"



Hoje nas bancas

Capa de hoje
Folheie o jornal aqui ❯




Jornal Diarinho ©2025 - Todos os direitos reservados.